Jakarta - Badai Tropis Melissa melanda Republik Dominika dengan hujan deras dan angin kencang. Tim gabungan dikerahkan mencari remaja yang hilang di kawasan pesisir.
Foto
Badai Melissa Terjang Karibia, Warga Dominika Waspada
Anggota Angkatan Laut Republik Dominika bersama otoritas perlindungan sipil melakukan pencarian remaja yang hilang saat Badai Tropis Melissa di Santo Domingo, Sabtu (25/10/2025). Pencarian dilakukan di sepanjang garis pantai setelah laporan hilangnya seorang remaja akibat cuaca ekstrem. REUTERS/Eddy Vittini
Warga menyaksikan upaya pencarian remaja yang hilang saat Badai Tropis Melissa di Santo Domingo, Republik Dominika, Sabtu (25/10/2025). Tim gabungan militer dan perlindungan sipil dikerahkan untuk menyisir wilayah terdampak badai. REUTERS/Eddy Vittini
Seorang anggota Angkatan Laut Republik Dominika menerbangkan drone untuk membantu pencarian remaja yang hilang akibat Badai Tropis Melissa di Santo Domingo, Sabtu (25/10/2025). Penggunaan drone memperluas jangkauan pemantauan di area pesisir yang sulit dijangkau. REUTERS/Eddy Vittini
Anggota Angkatan Laut dan otoritas perlindungan sipil Republik Dominika menyisir kawasan pantai Santo Domingo dalam operasi pencarian remaja hilang, Sabtu (25/10/2025). Operasi dilakukan di tengah kondisi cuaca buruk akibat Badai Tropis Melissa. REUTERS/Eddy Vittini
Ombak besar menghantam sekitar mercusuar Punta Torrecilla saat Badai Tropis Melissa melanda Santo Domingo, Republik Dominika, Sabtu (25/10/2025). Cuaca ekstrem menyebabkan gelombang tinggi dan memperparah kerusakan di wilayah pesisir. REUTERS/Eddy Vittini
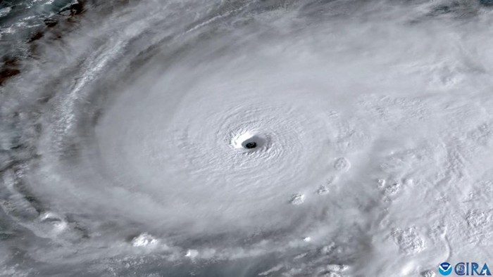
Citra satelit memperlihatkan Badai Tropis Melissa melintasi Laut Karibia, Senin (27/10/2025). Badai tersebut membawa hujan deras dan angin kencang yang memengaruhi beberapa negara di kawasan Karibia. REUTERS/CSU/CIRA & NOAA
Citra satelit menunjukkan pergerakan Badai Tropis Melissa di atas Laut Karibia, Senin (27/10/2025). Data ini dirilis oleh CSU/CIRA dan NOAA untuk memantau perkembangan badai di wilayah tersebut. REUTERS/CSU/CIRA & NOAA











































